The Flower Mound Planning & Zoning Commission voted Monday night to recommend denial of a proposed development with warehouses on FM 407.
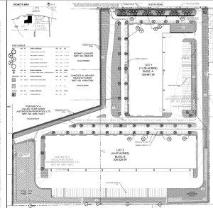
Dalfen Industrial representatives presented their rezoning request and concept plan to the P&Z commissioners for the 29-acre property at 2901 Justin Road. Currently zoned Agricultural District, Dalfen requested to change the zoning to Planned Development District with an I-1 Industrial District use base. The proposed zoning is consistent with the town’s Master Plan designation of commercial/industrial, including office, retail, repair/service and light industrial uses, according to the town.
The concept plan had two Class A warehouses, one about 140,000 square feet, and the other with about 225,000 square feet and 18,000 square feet of office space. Some of the land nearby is already zoned I-1, and surrounding uses include residential and light industrial, except for the Marcus High School athletic facility south of the property. Representatives of Dalfen said the proposed development would fit in well with the area.
But nearby residents strongly opposed the development, largely due to traffic concerns. The town received 137 neighbors’ correspondence in opposition, none in favor. Many residents spoke against the proposed development for about 50 minutes during the public hearing, saying they think FM 407 is too busy already, and the property is too close to residential areas and schools to increase the truck traffic.
Jeff Stringer, director of development and construction at Dalfen Industrial, said it seemed that some people thought the proposal would be like a distribution center, but “that’s not what this location is.” He said the vision for this project was a “last-mile” warehouse, such as a flooring showroom with an on-site warehouse for the business’ supply. It would have some tractor-trailer and box truck traffic, but not nearly as much as a distribution center, Stringer said during the meeting.
After hearing from the residents and further Q&A with the applicants, the commissioners voted unanimously to recommend denial of the project. The proposal may now go to Town Council for consideration, but because the P&Z recommended denial, a super-majority (four of five) of council members will be required to approve it.

















