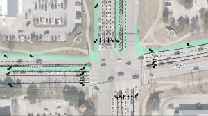
TxDOT will begin work on improvements to the intersection of Long Prairie Drive (FM 2499) at Justin Road (FM 407) on Monday.

Construction will add dual left turn lanes in all four directions and some designated right turn lanes going east on FM 407 and south on FM 2499.
According to the City of Highland Village, the project should be completed in 144 days, about five months.
Lane closures are expected and the City asks that traffic proceed with caution when heavy equipment and workers are present. Taking alternate routes are advised.
The City said improvements to this intersection have been requested in nearly every city mobility survey. After a few months of discomfort, the City said traffic flow should be much better at the intersection.


















